楚雄市自然资源局建设项目行政
审批公示
楚市自然资源公示〔2025〕18号
项目名称:楚雄市三街镇红色文化中心建设项目建设工程设计方案
申报类别:规划审批
申报单位:楚雄市三街镇人民政府
规划审批单位:楚雄市自然资源局
公示类别:批前公示
公示时间:2025年4月22日至2025年4月29日
公示地点:楚雄市自然资源局办公区一楼大厅、施工现场
公示网址:http://www.cxs.gov.cn/zfxxgk/bmgk.htm
公示组织单位:楚雄市自然资源局
意见反馈联系电话:3159106 3159991 传真:3159990
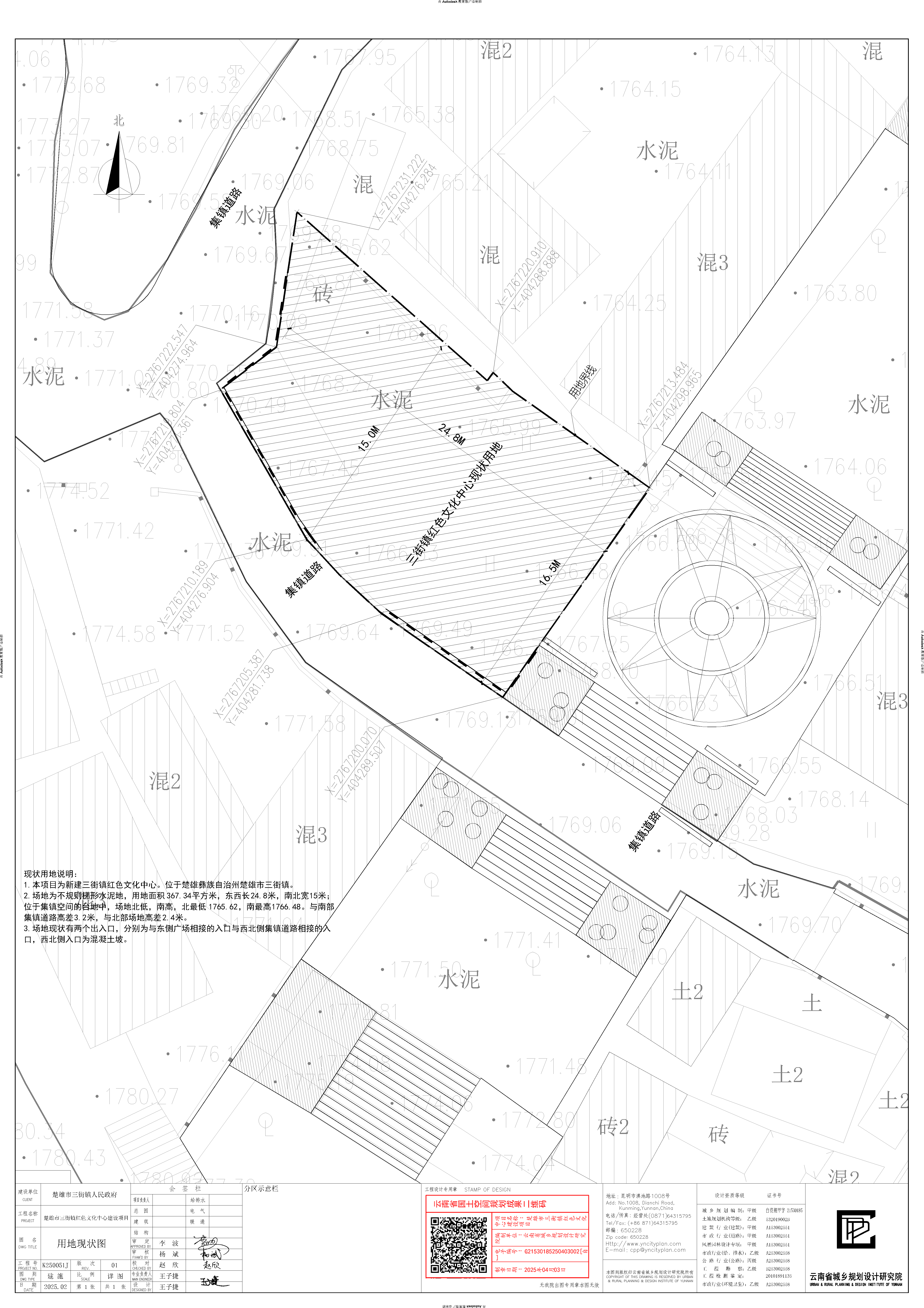
项目简介:楚雄市三街镇红色文化中心建设项目用地位于楚雄市三街镇,地块东临三街镇红色文化广场,西、南临集镇道路,北临现状民房,规划用地面积约0.55亩。通过规划拟新建一栋红色文化中心及配套设施。
审批概况:
规划用地面积:367.34㎡
总建筑面积:976.13㎡
建筑占地面积:234.05㎡
建筑密度:63.71%
计容建筑面积:976.13㎡
容积率:2.66
绿地面积:19.98㎡
绿地率:5.44%
根据相关规定,现对该建设工程设计方案内容进行批前公示,如对设计方案内容有异议的请在公示期限内与我局联系。
楚雄市自然资源局
2025年4月22日




