审批公示
楚市自然资源公示〔2024〕040号
项目名称:中国楚雄·国际运动健康城修建性详细规划(商业地块、住宅地块一期)变更
申报类别:规划审批
申报单位:楚雄市瑞尊文旅开发有限公司
规划审批单位:楚雄市自然资源局
公示类别:批前公示
公示时间:2024年10月14日至2024年10月22日
公示地点:楚雄市自然资源局办公区一楼大厅、施工现场、售楼部
公示网址:http://www.cxs.gov.cn/zfxxgk/bmgk.htm
公示组织单位:楚雄市自然资源局
意见反馈联系电话:3159106 3159991 传真:3159990
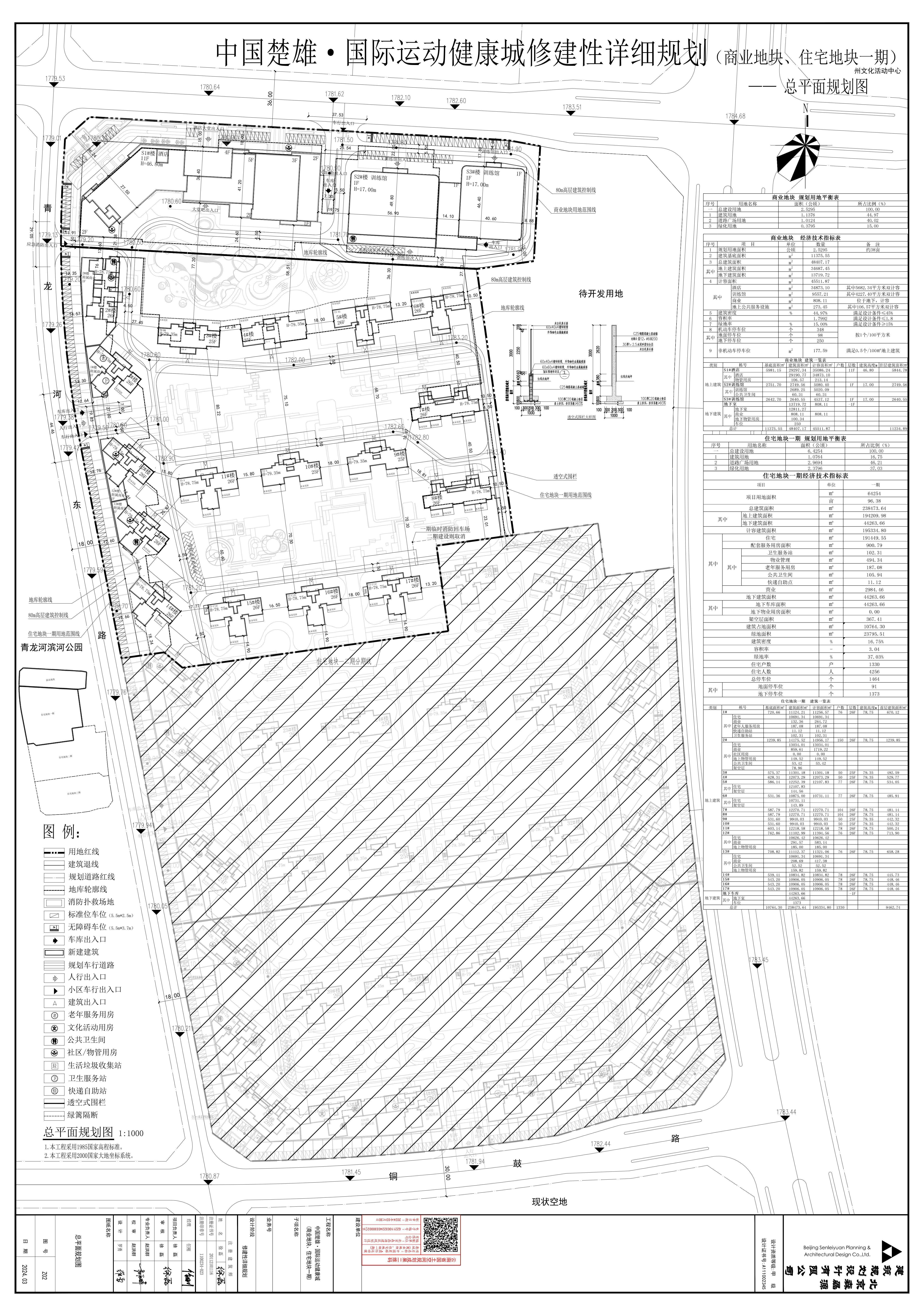
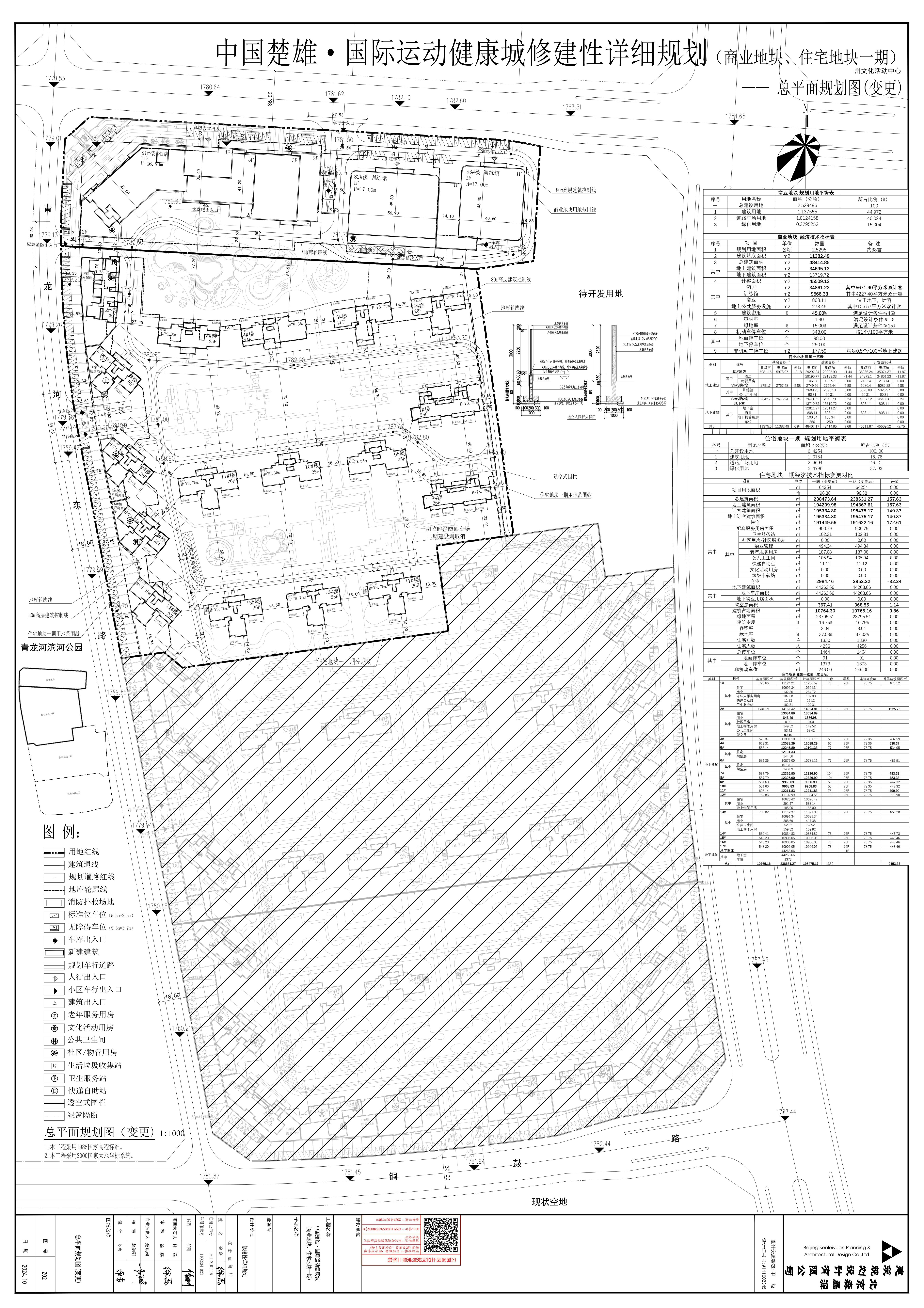
项目简介:中国楚雄·国际运动健康城商业地块、住宅地块一期项目用地位于楚雄市东南新城中部,地块东临拟开发用地,南临项目住宅地块二期用地,西临青龙河东路,北临彝海北路,规划用地面积134.32亩(其中商业地块37.94亩,住宅地块一期96.38亩)。该项目修建性详细规划于2024年3月审定实施,现楚雄市瑞尊文旅开发有限公司提出在保持该项目整体布局不变,各项经济技术指标满足相关规范要求、技术标准的前提下,对建筑单体设计方案进行如下变更:
一、商业地块
(一)S1#楼:酒店入口造型调整并增设雨棚;调整一层出入口方向,取消服务间及空腔,优化排风井布设位置;优化调整门窗位置及商铺分隔形式;在三层东部增设空调机房和排烟机房。S1#楼基底面积由5981.15㎡调整为5978.97㎡,减少2.18㎡;建筑面积由29297.34㎡调整为29295.90㎡,减少1.44㎡;计容建筑面积由35086.24㎡调整为35074.37㎡,减少11.87㎡。
(二)S2#、S3#楼:调整入口门厅门洞大小;优化建筑平面局部;优化调整门窗位置;在东部增设出入口。S2#楼基底面积由2751.70㎡调整为2757.58㎡,增加5.88㎡;建筑面积由2749.56㎡调整为2755.44㎡,增加5.88㎡;计容建筑面积由5080.40㎡调整为5086.28㎡,增加5.88㎡。S3#楼基底面积由2642.70㎡调整为2645.94㎡,增加3.24㎡;建筑面积由2640.55㎡调整为2643.79㎡,增加3.24㎡;计容建筑面积由4537.12㎡调整为4540.36㎡,增加3.24㎡。
(三)优化调整室外化粪池和管线布局。
(四)商业地块基底面积由11375.55㎡调整为11382.49㎡,增加6.94㎡;建筑面积由48407.17㎡调整为48414.85㎡,增加7.68㎡;计容建筑面积由45511.87㎡调整为45509.12㎡,减少2.75㎡。
二、居住地块一期
(一)1#楼:调整入口门洞宽度;调整商业标高;调整卫生间开窗大小及位置。指标不发生变化。
(二)2#楼:调整入口门洞宽度;调整商业标高;调整门窗大小及位置;优化公厕平面布局;调整商铺大小,将室外楼梯东侧一层调整为中空。2#楼基底面积由1239.85㎡调整为1240.71㎡,增加0.86㎡;建筑面积由14175.52㎡调整为14161.42㎡,减少14.10㎡;计容建筑面积由14956.17㎡调整为14924.81㎡,减少31.36㎡。
(三)3#楼:调整入口门洞宽度;增设隔音板和设备井;调整入户门形式;调整开窗大小及位置。指标不发生变化。
(四)4#楼:调整入口门洞宽度;增设隔音板;调整入户门形式;调整开窗位置;优化调整部分户型厨房、杂物间、阳台等的布局。4#楼基底面积不变;建筑面积由12073.29㎡调整为12088.29㎡,增加15.00㎡;计容建筑面积由12073.29㎡调整为12088.29㎡,增加15.00㎡。
(五)5#楼:调整入口门洞宽度;调整开窗大小及位置;优化部分户型餐厅墙体布局。5#楼基底面积不变;建筑面积由12252.39㎡调整为12245.89㎡,减少6.50㎡;计容建筑面积由12107.83㎡调整为12101.33㎡,减少6.50㎡。
(六)6#楼:调整入口门洞宽度;调整开窗大小。指标不发生变化。
(七)7#楼:调整入口门洞宽度;调整入户门宽度;优化部分户型卫生间墙体布局。7#楼基底面积不变;建筑面积由12270.71㎡调整为12326.90㎡,增加56.19㎡;计容建筑面积由12270.71㎡调整为12326.90㎡,增加56.19㎡。
(八)8#楼:调整入口门洞宽度;调整入户门宽度;优化部分户型卫生间墙体布局。8#楼基底面积不变;建筑面积由12270.71㎡调整为12326.90㎡,增加56.19㎡;计容建筑面积由12270.71㎡调整为12326.90㎡,增加56.19㎡。
(九)9#楼:调整入口门洞宽度;增设隔音板;调整入户门形式;优化调整部分户型厨房、杂物间、阳台等的布局。9#楼基底面积不变;建筑面积由9940.03㎡调整为9968.83㎡,增加28.80㎡;计容建筑面积由9940.03㎡调整为9968.83㎡,增加28.80㎡。
(十)10#楼:调整入口门洞宽度;增设隔音板;调整入户门形式;调整卫生间门位置;调整厨房门洞大小;调整墙体厚度;优化调整部分户型厨房、杂物间、阳台等的布局。9#楼基底面积不变;建筑面积由9940.03㎡调整为9968.83㎡,增加28.80㎡;计容建筑面积由9940.03㎡调整为9968.83㎡,增加28.80㎡。
(十一)11#楼:调整入口门洞宽度;调整入户门形式;调整开窗大小及位置;优化部分户型餐厅墙体布局。11#楼基底面积不变;建筑面积由12218.58㎡调整为12211.83㎡,减少6.75㎡;计容建筑面积由12218.58㎡调整为12211.83㎡,减少6.75㎡。
(十二)12#楼:调整入口门洞宽度;调整商业标高;调整开窗大小及位置;调整卫生间门位置。增加门垛;调整墙体厚度。指标不发生变化。
(十三)13#楼:调整入口门洞宽度;调整商业标高;调整开窗大小及位置。指标不发生变化。
(十四)14#楼:调整入口门洞宽度;调整开窗大小及位置;调整卫生间门位置;增加门垛;调整墙体厚度。指标不发生变化。
(十五)15#楼:调整入口门洞宽度;调整开窗大小及位置;增加门垛;调整墙体厚度。指标不发生变化。
(十六)16#楼:调整入口门洞宽度;调整开窗大小及位置。指标不发生变化。
(十七)17#楼:调整入口门洞宽度;调整开窗大小及位置。指标不发生变化。
(十八)优化调整室外化粪池和管线布局。
(十九)住宅地块一期基底面积由10764.30㎡调整为10765.16㎡,增加0.86㎡;建筑面积由238473.64㎡调整为238631.27㎡,增加157.63㎡;计容建筑面积由195334.80㎡调整为195475.17㎡,增加140.37㎡。
中国楚雄·国际运动健康城变更前后商业地块经济技术指标对比表
名称
|
变更前商业地块
经济技术指标
|
变更后商业地块
经济技术指标
|
变化值
|
|
规划用地面积(㎡)
|
25295
|
25295
|
0
|
|
总建筑面积(㎡)
|
48407.17
|
48414.85
|
7.68
|
|
其中
|
地上建筑面积(㎡)
|
34687.45
|
34695.13
|
7.68
|
地下建筑面积(㎡)
|
13719.72
|
13719.72
|
0
|
|
建筑基底面积
|
11375.55
|
11382.49
|
6.94
|
|
建筑密度(%)
|
44.97
|
45.00
|
0.03
|
|
计容建筑面积(㎡)
|
45511.87
|
45509.12
|
-2.75
|
|
容积率
|
1.80
|
1.80
|
0
|
|
绿地面积(㎡)
|
3795.27
|
3795.27
|
0
|
|
绿地率(%)
|
15.00
|
15.00
|
0
|
|
机动车停车位(个)
|
348
|
348
|
0
|
|
其中
|
地上停车位(个)
|
98
|
98
|
0
|
地下停车位(个)
|
250
|
250
|
0
|
|
中国楚雄·国际运动健康城变更前后住宅地块一期经济技术指标对比表
名称
|
变更前住宅地块
一期经济技术指标
|
变更后住宅地块
一期经济技术指标
|
变化值
|
|
规划用地面积(㎡)
|
64254
|
64254
|
0
|
|
总建筑面积(㎡)
|
238473.64
|
238631.27
|
157.63
|
|
其中
|
地上建筑面积(㎡)
|
194209.98
|
194367.61
|
157.63
|
地下建筑面积(㎡)
|
44263.66
|
44263.66
|
0
|
|
建筑基底面积
|
10764.30
|
10765.16
|
0.86
|
|
建筑密度(%)
|
16.75
|
16.75
|
0
|
|
计容建筑面积(㎡)
|
195334.80
|
195475.17
|
140.37
|
|
容积率
|
3.04
|
3.04
|
0
|
|
绿地面积(㎡)
|
23795.51
|
23795.51
|
0
|
|
绿地率(%)
|
37.03
|
37.03
|
0
|
|
户数(户)
|
1330
|
1330
|
0
|
|
机动车停车位(个)
|
1464
|
1464
|
0
|
|
其中
|
地上停车位(个)
|
91
|
91
|
0
|
地下停车位(个)
|
1373
|
1373
|
0
|
|
楚雄市自然资源局
2024年10月14日





