楚雄市自然资源局建设项目竣工规划
核实验收公示
楚市自资验收公示〔2022〕014号
项目名称:香颂美地一期四阶段
申报类别:建设工程竣工规划核实验收
申请人: 楚雄市盛鑫祥房地产开发有限公司
核实单位:楚雄市自然资源局
公示时间:2022年9月10日—2022年9月16日
公示地点:楚雄市自然资源局办公区一楼大厅;竣工现场。
公示网址:http://www.cxs.gov.cn/zfxxgk/bmgk.htm
组织公示单位:楚雄市自然资源局
项目地点:楚雄市香颂美地一期项目内
意见反馈联系电话:3139022 3159991 传真:3159990
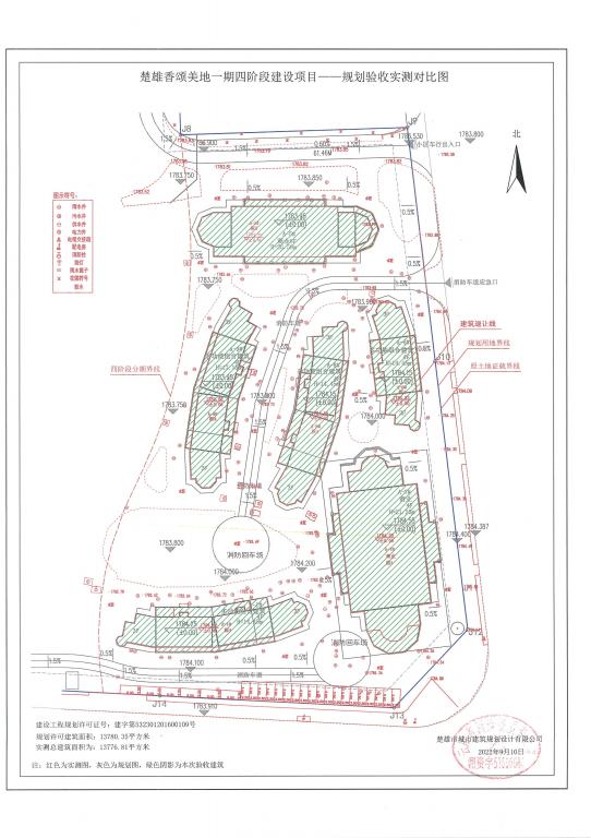
项目简介:楚雄市盛鑫祥房地产开发有限公司开发建设的香颂美地建设项目位于彝海大道东侧,新安路西侧,文鼎路北侧,东山路南侧,规划总用地面积112437.35㎡,其修建性详细规划于2015年12月31日审定,修改设计方案于2018年6月29日审定实施,香颂美地规划总建筑面积186408.97㎡,其中地上建筑面积158451.48㎡(为计容建筑面积),地下建筑面积27957.49㎡(为不计容建筑面积),建筑密度26.51%,容积率1.41,绿地率37.48%,机动车停车位1186个,其中地上停车位343个,地下停车位843个。香颂美地项目分两期实施建设,其中香颂美地一期一、二、三阶段(除B-7幢一单元)于2018年6月28日通过规划核实验收,香颂美地一期一阶段B-7幢一单元于2020年4月1日通过规划核实验收,香颂美地二期于2020年2月17日通过规划核实验收。本次验收的内容为香颂美地一期四阶段即A-1#、A-5#、A-6#、A-7#、A-8#、A-9#栋,共计六栋建筑,其规划建筑面积为13780.35㎡。2016年5月3日,楚雄市盛鑫祥房地产开发有限公司根据审定的项目修建性详细规划取得香颂美地一期四阶段《建设工程规划许可证》,编号为建字第楚雄市532301201600109号,建筑面积13780.35㎡,许可内容为:A-1#、A-6#、A-8#、A-9#多层商住综合楼(一、二层为商业、二层含住宅)4栋地上四层局部三层;A-5#多层商业及公建(一、二层为商业,三、四、五层为物管、社区用房、社区卫生服务设施及社区文化用房)1栋地上五层局部四层;A-7#多层商业1栋地上四层局部三层。
2022年9月楚雄市盛鑫祥房地产开发有限公司向我局申请对香颂美地一期四阶段A-1#、A-5#、A-6#、A-7#、A-8#、A-9#栋建筑进行规划核实验收,经实测本次验收建筑面积13776.81平方米(低于修规面积3.54㎡,低于规划许可面积3.54㎡),建设规模符合《建设工程规划许可证》许可内容和审定规划,现拟对香颂美地一期四阶段A-1#、A-5#、A-6#、A-7#、A-8#、A-9#栋按照单体建筑工程进行规划核实验收。根据《楚雄彝族自治州建设工程竣工规划验收管理办法》的有关规定特进行公示,如对香颂美地一期四阶段规划核实验收有异议的请在公示期限内与我局联系。
附件内容:1.香颂美地一期四阶段验收位置示意图;
2.香颂美地修建性详细规划图;
3.香颂美地一期四阶段规划验收实测对比图。
楚雄市自然资源局
2022年9月10日


