审批公示
楚市自然资源公示〔2022〕027号
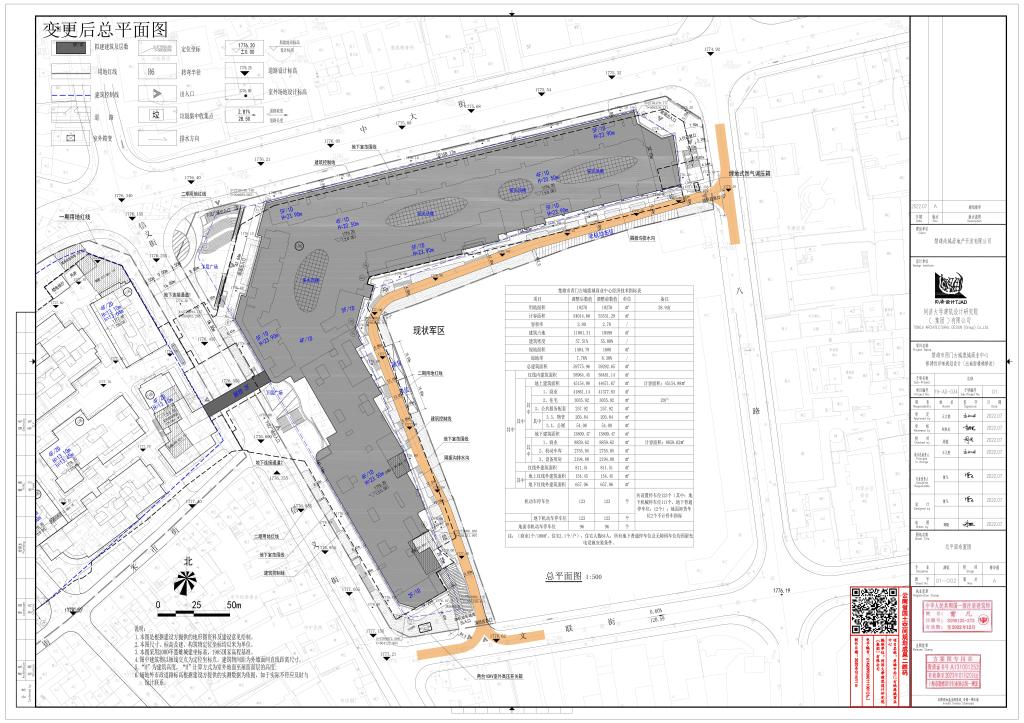
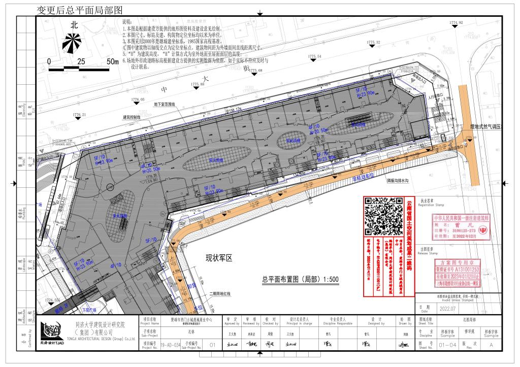
项目名称:楚雄市西门古城鹿城商业中心(二期鹿城商业中心)修建性详细规划(变更)
申报类别:规划审批
申报单位:楚雄尚越房地产开发有限公司
规划审批单位:楚雄市自然资源局
公示类别:批前公示
公示时间:2022年7月29日至2022年8月4日
公示地点:楚雄市自然资源局办公区一楼大厅、施工现场、售楼部
公示网址:http://www.cxs.gov.cn/zfxxgk/bmgk.htm
公示组织单位:楚雄市自然资源局
意见反馈联系电话:3159991 3139022 传真:3159990
项目简介:楚雄市西门古城鹿城商业中心(二期鹿城商业中心)项目用地位于楚雄市老城区西门古城片区,地块东临八一路,南临文联街,西临信义街,北临中大街,规划用地面积28.9亩。楚雄市西门古城鹿城商业中心(二期鹿城商业中心)修建性详细规划于2020年9月14日审定实施,现楚雄尚越房地产开发有限公司提出在保持该项目总体布局基本不变的前提下,对该项目修建性详细规划进行如下变更:
一、临八一路地下室人行疏散口方向根据现场实际情况进行调整,绿地面积及绿地率减少。
二、建筑内三个天井增设采光顶棚,建筑占地面积、建筑密度、建筑面积、计容建筑面积增加。
三、取消建筑临信义街出入口的四层玻璃飘板,建筑面积、计容建筑面积减少。
楚雄市西门古城鹿城商业中心(二期鹿城商业中心)修建性详细
规划变更前后主要经济技术指标表
名称 |
变更前经济技术指标 |
变更后经济技术指标 |
变化情况 |
规划用地面积(㎡) |
19270.00 |
19270.00 |
0 |
总建筑面积(㎡) |
59292.65 |
59775.96 |
﹢483.31 |
计容建筑面积(㎡) |
53531.29 |
54014.60 |
﹢483.31 |
建筑密度(%) |
55.00 |
57.51 |
﹢2.51 |
容积率 |
2.78 |
2.80 |
﹢0.02 |
绿地率(%) |
8.30 |
7.76 |
﹣0.54 |
停车位(个) |
123 |
123 |
0 |
楚雄市自然资源局
2022年7月29日



