楚雄市自然资源局对建设项目竣工规划
核实验收公示
楚市自资验收公示〔2021〕020号
项目名称:香颂美地.澜庭一期建设项目
申报类别:建设工程竣工规划核实验收
申请人: 楚雄市盛鑫祥房地产开发有限公司
核实单位:楚雄市自然资源局
公示时间:2021年12月10日—2021年12月16日
公示地点:楚雄市自然资源局办公区一楼大厅;竣工现场。
公示网址:http://www.cxs.gov.cn/zfxxgk/bmgk.htm
组织公示单位:楚雄市自然资源局
项目地点:楚雄市东南新城东北侧、楚风苑小区南侧
意见反馈联系电话:3139022 3159991 传真:3159990
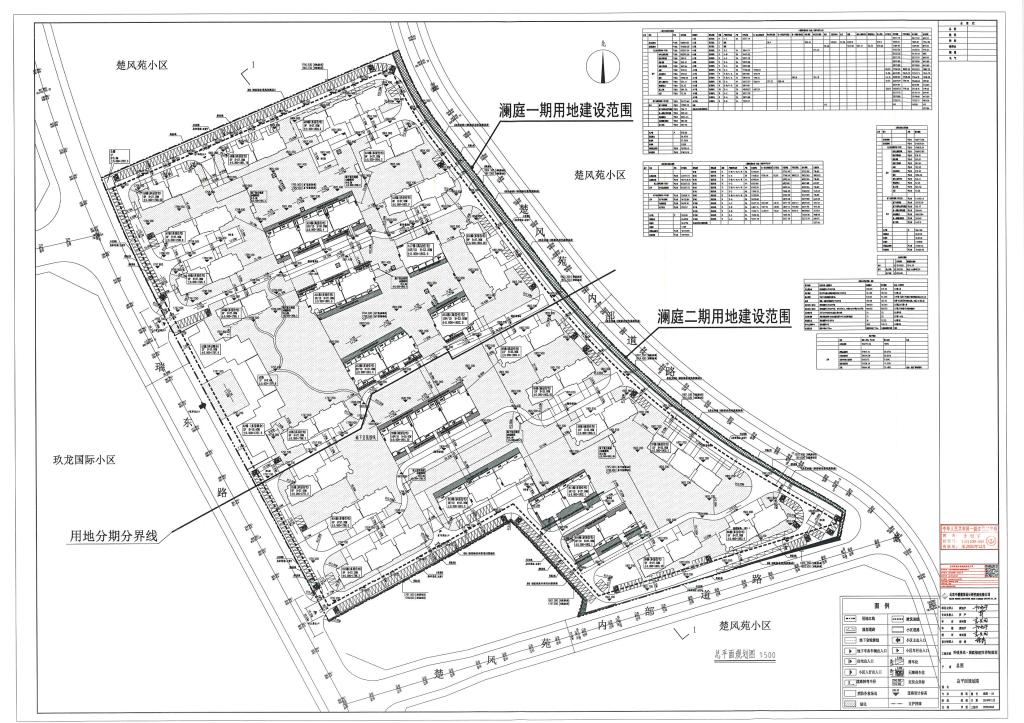
项目简介:楚雄市盛鑫祥房地产开发有限公司开发建设的香颂美地.澜庭建设项目位于瑞东路东侧,楚风苑小区南侧,规划总用地面积106773.56㎡,其修建性详细规划于2020年1月13日审定,分两期实施建设。香颂美地.澜庭建设项目(一期)规划用地面积58001.83㎡,总建筑面积111680.28㎡,其中地上建筑面积87507.59㎡,地下建筑面积24172.69㎡,容积率1.509,建筑密度26.05%,绿地率37.3%,机动车停车位685个(地上停车位176个,地下停车位509个)。2020年2月项目建设单位根据审定的项目修建性详细规划,办理了香颂美地.澜庭一期建设项目《建设工程规划许可证》(编号为建字第楚雄市202000011号),许可总建筑面积111680.28㎡,其中地上建筑面积87527.16㎡,地下建筑面积24153.12㎡,其许可内容为:住宅十栋地上9层;商业及配套用房两栋地上2层;住宅三栋地上10层地下1层;住宅两栋地上9层地下1层;公厕一栋地上一层;地下车库一座。2021年11月楚雄市盛鑫祥房地产开发有限公司向我局申请对已竣工的香颂美地.澜庭一期项目建设内容进行规划核实验收,经测绘单位实测和现场比对,香颂美地.澜庭一期建设项目实测用地面积58001.83㎡,总建筑面积111656.47㎡,其中地上建筑面积87579.99㎡,地下建筑面积24076.48㎡,实测计容建筑面积87490.86㎡,不计容建筑面积24165.61㎡,建筑密度26.06%,容积率1.508,绿地率38.18%,此外实测机动车停车位共635个(地上停车位158个,地下停车位477个),一期项目实测停车位总个数比规划少50个,建设方承诺于二期进行补足。根据《楚雄彝族自治州建设工程竣工规划验收管理办法》的规定特进行公示,如对香颂美地.澜庭一期建设项目建设内容规划核实验收有异议的请在公示期限内与我局联系。
附件内容:1.香颂美地.澜庭一期建设项目验收位置示意图;
2.香颂美地.澜庭一期建设项目修建性详细规划图;
3.香颂美地.澜庭一期建设项目规划验收实测对比图。
楚雄市自然资源局
2021年12月10日


