审批公示
楚市自然资源公示〔2021〕017号
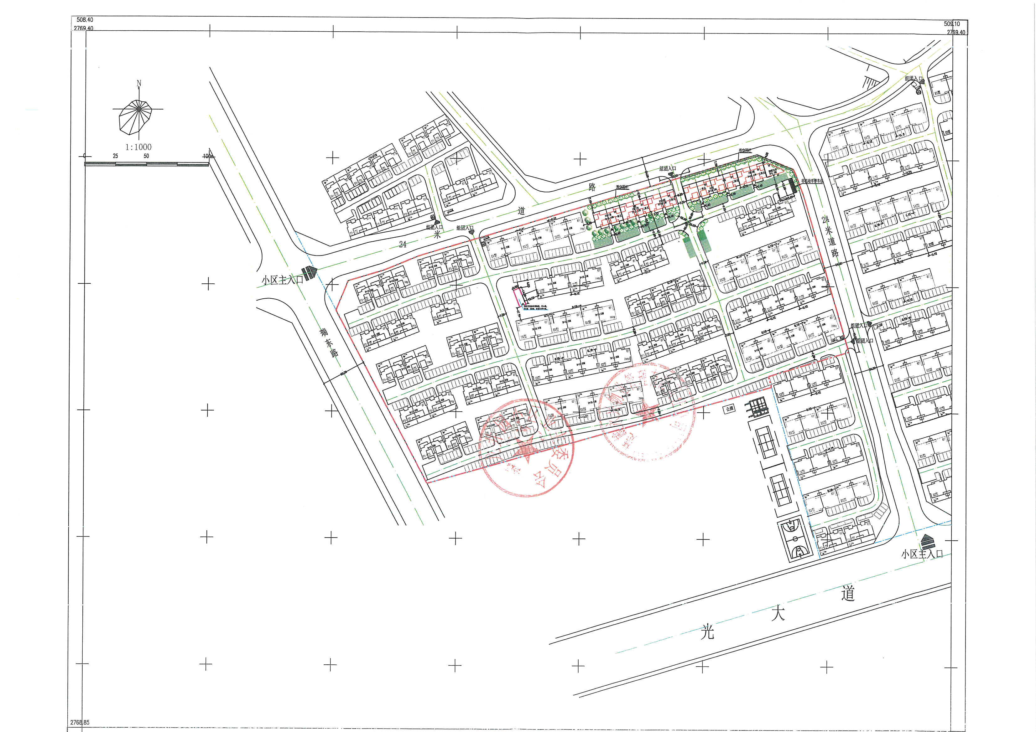
项目名称:楚风苑龙井园小区新建非机动车停车棚
申报类别:规划审批
申报单位:龙井园小区业主委员会、楚雄永兴物业管理有限责任公司
规划审批单位:楚雄市自然资源局
公示类别:批前公示
公示时间:2021年5月7日至2021年5月13日
公示地点:楚雄市自然资源局办公区一楼大厅、施工现场、楚风苑龙井园小区公示栏
公示网址:http://www.cxs.gov.cn/zfxxgk/bmgk.htm
公示组织单位:楚雄市自然资源局
意见反馈联系电话:3159991 3139022 传真:3159990
项目简介:楚风苑龙井园小区项目用地位于楚雄市东南新城东北部,地块东临南北向24米宽道路,南临楚风苑小区D标段和小龙井公园,西临瑞东路,北临东西向24米宽道路,规划用地面积97.56亩。楚风苑龙井园小区修建性详细规划于2009年7月审定实施,于2021年3月5日进行规划修改。现龙井园小区业主委员会、楚雄永兴物业管理有限责任公司提出在各项经济技术指标均满足相关规范要求的前提下,在14栋西侧,16栋北侧新建一栋长14米、宽5米、高3米的非机动车停车棚。
楚雄市自然资源局
2021年5月7日

